visite des fonds marins

Publiée le 15/06/2024
des tortues, des poissons, des statues, et beaucoup de touristes

Explorer les fonds marins

Ce matin je pars avec Adi sur son bateau, pour une sortie snorkeling, à la découverte des fonds marins des îles Gili.

Cap tout d'abord vers Trangawan, l'île voisine. Adi me choisit un spot plutôt calme, pas d'autre bateau à l'horizon, et me conseille de nager en me déplaçant vers la côte toute proche.

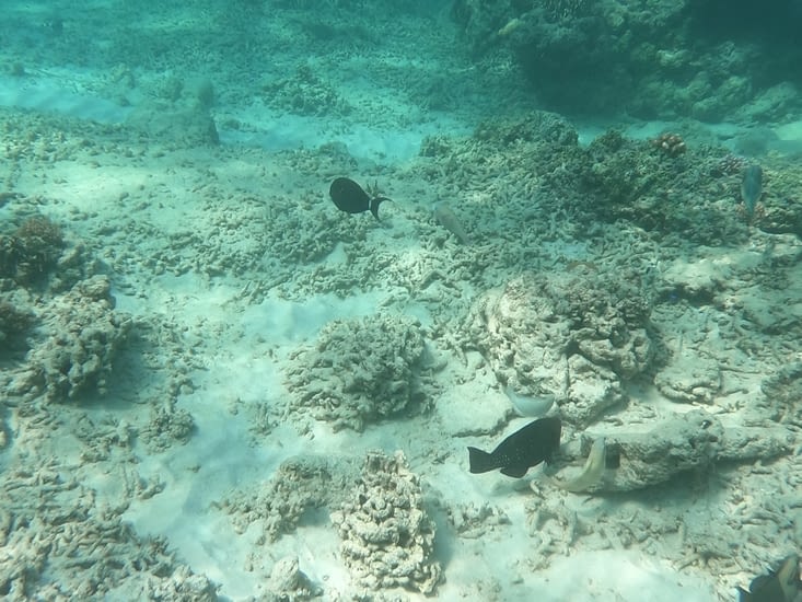
Je vois de beaux poissons, des massifs de corail encore vivants, il en reste peu , la plupart sont morts à cause du réchauffement.

Je sors régulièrement la tête de l'eau pour voir où est le bateau, et je vois Adi me faire de grands signes, tortues ici!!

Je rejoins rapidement le bateau, et là j'aurais le plaisir d'accompagner une magnifique tortue pendant son déjeuner, elle broute tranquillement des herbes sur le fond, elle n'est pas du tout effrayée, et je pourrais la toucher si je voulais, ce que bien sûr je ne ferais pas.

Nous retraversons le détroit entre les deux îles, et nous nous dirigeons vers la ronde des statues immergées, attraction touristique s'il en est. Ce sera surtout la ronde des palmes , un bateau vient de déverser tout son chargement de touristes, qui s'ébattent en surface, équipés de gilets de sauvetage il leur est très difficile de flotter de façon statique, et donc ils agitent bras et jambes dans tous les sens.

Entre quelques coups de palmes ou de bras agités, j'arrive tant bien que mal à me glisser, mais je ne reste pas, vraiment trop de monde. 

Nous repartons plus loin le long de la côte, et de nouveau au calme je me mets à l'eau pour une troisème et dernière exploration.

Cette fois ci pas de tortues, malheureusement, mais des bancs de poissons de toutes les couleurs, un enchantement. Quand d'autres bateaux arriveront et que je verrais d'autres plongeurs arriver , il sera temps de remonter à la surface et de rejoindre la côte.

Une belle sortie, qui m'a permis de compléter l'exploration de ces îles tropicales.

MASSIFS CORALIENS
Les fonds
Les fonds
Les fonds
Les fonds
madame tortue
la ronde des statues
la ronde des statues ( et des palmes)
Les fonds
Les fonds
0 commentaire