Du café sur un plateau

Publiée le 16/03/2019
Pour notre dernière étape au Laos, nous remontons 180 km vers le nord, pour découvrir le plateau des Bolaven, royaume de la culture du café au Laos. Nous serons hébergés une nuit dans une ferme qui se révélera être un repaire de voyageurs au long court, rencontres extraordinaires !

Nous quittons l’île de Don Khone le matin, en bateau, en longeant comme à l’aller des îlots de verdure. 

Dernière vue sur Don Khone, petit pincement au cœur...
Les pieds dans l’eau.
Écrin de verdure.

Ensuite, nous roulons 3h dans un bus, attente 1h à Paksé, puis encore 1h dans un bus bondé de Laotiens, et pour finir, une Jeep nous attend à Paksong pour une dernière heure à la tombée de la nuit, sur une piste pleine d’ornières et de cailloux... Le plateau des Bolaven se mérite !!

Enfin arrivés à la ferme, grâce à cette Jeep qui a déjà bien vécu !

Au cours d’un dîner suivi d’une soirée feu de camp dans la cour de la ferme, nous faisons connaissance avec les autres visiteurs, qui sont tous baroudeurs, la plupart tatoués et barbus ou chevelus... Nous avons l’impression de détonner un peu ! ?

La ferme au petit matin.
Réveil dans notre cabane de bambou...
Nous voici donc à Mystic Mountain !.
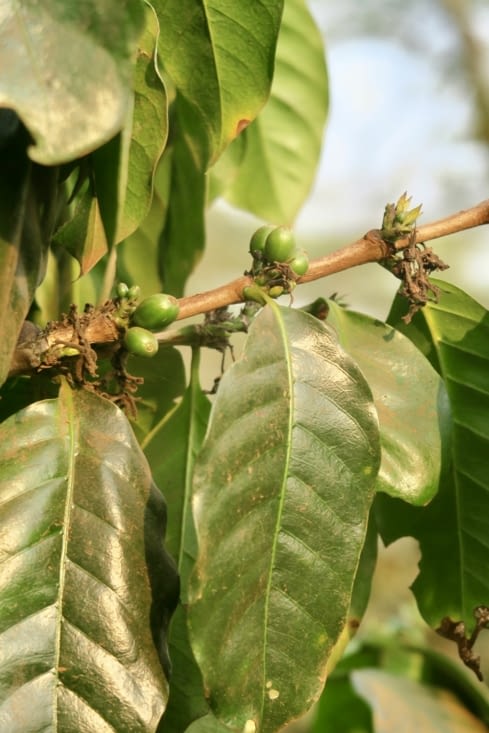
Tout autour de la ferme, des hectares de plants de caféiers.
Voilà à quoi ressemblent des baies de café. Pas encore mûres...
Des fleurs de café. Il en existe du miel.

Au petit déjeuner, nous échangeons avec Khamsone, notre hôte.

Fils d’un petit torréfacteur de café dans un village voisin, Khamsone a fait ses études à Paksong, est devenu guide touristique et puis, hectare après hectare, a acheté un immense terrain ici pour créer la plantation de café de ses rêves, en culture bio. Il devient également torréfacteur.

Malheureusement, un froid exceptionnel il y a quelques années a causé le gel de sa plantation - et la perte de ses revenus. 

Après une période de grands doutes, il décide de replanter et de continuer mais de diversifier son activité : c’est ainsi qu’aujourd’hui, il accueille des visiteurs pour la journée, ou pour plusieurs jours, et organise des visites du plateau avec sa Jeep. 

Un personnage très attachant, dans un lieu en pleine nature... On a de la chance d’être passés par là !

Après un petit dej copieux (et un café parfait ;-), Khamsone nous donne un petit cours de torréfaction artisanale de café. 

Présentation d’un grain de café.
Le café que nous allons torréfier.
Khamsone devant la machine à torréfier.
Les grains sont versés dans le tambour en métal qui est déjà très chaud.
Et le tambour se met à tourner au-dessus de deux brûleurs chauffés au gaz.

De la fumée commence à se dégager du tambour, et l’odeur est délicieuse : en fait, elle varie au fur et à mesure et indique le degré de cuisson des grains :

- de 1 à 7 mn : une odeur de pop corn, les grains deviennent jaune doré 

- de 8 à 10 mn : odeur de boulangerie, grains jaune foncé,

- de 10 à 15 mn : odeur de cacao, grains marron clair

- de 15 à 32 mn : odeur de café, grains marron foncé.

On s’amuse tous beaucoup à reconnaître les différentes odeurs, c’est magique ! Et super précis. 

32 mn pile : d’après l’odeur et les petits « pop » des grains qui éclatent, c’est prêt !
Ça fume et ça sent terriblement bon.
On découvre le résultat : des grains brun foncé, très brillants... des petits trésors !
On en croque quelques-uns, les arômes sont très riches.
Khamsone, très fier de sa production du jour.
Et voici notre part.

Kham nous offre une chanson de Paksong (la ville au bas du plateau des Bolaven), dans laquelle il est question de café...

Après cette session pédagogique, et après 30 mn de séchage, le café est moulu, préparé... un régal que nous partageons tous autour d’une grande table, sous l’auvent de la ferme. 

Parmi les visiteurs hébergés en même temps que nous : Lionel, un Australien d’une soixantaine d’années, pacifiste grand amoureux de l’Asie et du Vietnam en particulier, où il a été observateur pendant la guerre avec les Américains. 

Pablo, un Québécois d’environ 30 ans, qui a suivi ses parents grands voyageurs depuis ses 6 mois, et qui voyage depuis 5 ans autour du monde, en travaillant à droite à gauche, en « prenant le temps de réfléchir ». Il nous impressionne par sa culture tous azimuths et sa débrouillardise. Il a même fait une formation accélérée de développeur web et applis, mais au bout d’un an à travailler devant un écran, il a tout plaqué, ayant économisé assez pour partir faire son grand voyage.

Deux finlandais, une Allemande et un autre Australien complètent le tableau. Tous sont fans de moto, certains font le tour du plateau des Bolaven en plusieurs jours.

Discussions passionnantes avec ces personnalités hors du commun, pendant que Maël joue à cache-cache avec le fils de Khamsone, entre les poules et les sacs de café !

À droite, Lionel et sa barbe de Père Noël.
Pablo. le voyageur très cool.

Après le déjeuner, nous quittons la ferme et nos amis voyageurs : Khamsone nous emmène en Jeep faire un tour sur le plateau.

La piste traverse des plantations de caféiers, d’ananas, des zones sauvages...
Arrivée à une cascade, où on pourra se décrasser à fond ?
Elle est fraîche mais ça fait un bien fou !!
Après cette bonne pause fraîcheur, retour dans la Jeep.

Khamsone nous emmène jusqu’au point culminant de cette partie des Bolaven, une colline volcanique dans un parc naturel protégé.

La forêt, à perte de vue.
Sur les rochers les plus hauts, deux gardiens veillent.
Méditation au sommet et au son des cigales.
Des pierres volcaniques presque noires.
Bon terrain de jeux et d’escalade !
Un Lutin des Roches Noires.
L’araignée de Spiderman ?
Joie, bonheur ?
Khamsone, amoureux fou de la région de son enfance et de ses rêves.
Il va être temps de reprendre la route pour redescendre vers la ville.
Mais est-ce qu’une Jeep a des suspensions ?
Dernier coucher de soleil au Laos...

Et voilà. Nous quittons le Laos demain matin, direction Saïgon en avion pour une étape vietnamienne de quelques jours.

Pour nous qui ne savions rien du Laos, qui pensions rester juste quelques jours à Luang Prabang... ce petit pays est une révélation ! Merci Christine, merci Nicolas (cousin) pour vos conseils ! Et les voyageurs rencontrés au fil de la route...

Nature sauvage, spiritualité, patrimoine culturel, le Laos offre beaucoup, à condition de braver des routes dans un état catastrophique. 

Le Laos est un des pays les plus pauvres de la planète, et il est hélas une proie facile pour la Chine et ses ambitions dominatrices de développement vers le sud. Mais espérons que les Laotiens sauront prendre le meilleur de ce développement (modernisation, infrastructures), sans y perdre leur identité !

10 commentaires

Shrimpies

Tout simplement merveilleuses tes photos Marianne. T'as jamais pensé à faire ça professionnellement??? Wow pour les endroits que vous découvrez. Pensez à faire une petite guide touristique, on suivrait vos pas VOLONTIERS!! sinon j'ai vu dr delatour qui aimerait être rajouté sur la liste pour ton blog......
Mais quelles expériences vous vivez ! Je suis envieuse mais ravie pour vous tous. On vous envoie plein plein de bisous.. xxx

  • il y a 7 ans
Gérard

Ulysse44

Encore une bien belle étape ponctuée de paysages charmeurs et semble-t-il de compagnons de route fort sympathiques. Une expérience sûrement mémorable.

  • il y a 7 ans

Thalie

Trop beau. On voyage, merci merci.

  • il y a 7 ans
Rianne

Rianne

Merciiiiii Iona !!! Super gentil ? Le meilleur, dans tout ça, c’est de pouvoir partager avec vous tous ! On vous embrasse fort tous les 4 !

  • il y a 7 ans
Rianne

Rianne

Merci cousine, merci sister !!

  • il y a 7 ans
Séverine

Vrine

Magnifiques photos, magnifique séjour, et de très bons et très beaux textes qui sont toujours bien écrit, très agréables à lire et qui donnent envie d'en lire et encore ( bravo Rianne et merci de nous tenir en haleine et suspendu à ta plume - ou clavier ;-) !

  • il y a 7 ans

KarineMaz

Un vrai reportage pour magazine upper-class travel !

  • il y a 7 ans

KarineMaz

Ah dernière étape Laos : eh bien c'était une vraie découverte, en effet, merci j'ai beaucoup aimé ce petit pays qui gagne à être connu ! Pas eu envie d'aller dormir/vivre un peu chez l'habitant ? Ça change tout, je trouve, pour ce qui est de l'immersion et de la découverte justement. Ailleurs peut-être ? Belle suite !

  • il y a 7 ans
Rianne

Rianne

Merci la Vrine, ça me touche !! On vit tellement d’aventures, découvertes, rencontres (et pendant 4 mois encore !...), un plaisir de partager, et pour les souvenirs plus tard ? Gros bisous !

  • il y a 7 ans
Rianne

Rianne

Merci miss K !
Ben on y était. chez l’habitant, justement ?
Sinon, on comprend ton idée, mais juste pas évident à 3 (faut avoir de la place), avec un enfant (qui a souvent du mal avec la nourriture typique ?), et on ne parle pas encore bien les langues locales (parce l’anglais est rarement parlé).. A part tout ça, serait chouette bien sûr...
Gros bisous !

  • il y a 7 ans
1 Voyage | 100 Étapes
Paksong, Laos
61e jour (08/03/2019)
Étape du voyage
Début du voyage : 07/01/2019
Liste des étapes

Partagez sur les réseaux sociaux